Haltungsinformationen
Lutjanus ehrenbergii (Peters, 1869)
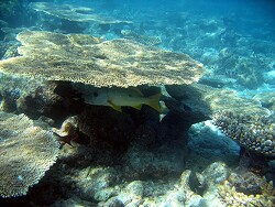
Erwachsene Tiere von Lutjanus ehrenbergii bewohnen sehr flache Küstengebiete, oft in großen Schwärmen in der Nähe von Süßwasserabflüssen. Jungtiere sind oft zwischen Gezeiten, über Sand-, Schlick- oder Korallenschuttböden, gelegentlich in von Mangroven gesäumten Flüssen und Flussmündungen zu finden. Sie können ins Süßwasser gelangen, um sich von kleinen Fischen und Wirbellosen zu ernähren.
Lutjanus ehrenbergii ist eine kleine Art, die häufig in der Subsistenzfischerei genutzt und auch auf Märkten zu finden ist. Sie werden hauptsächlich mit Handleinen, Fallen und Kiemennetzen gefangen und meist frisch vermarktet.
Schnapper tauchen hin und wieder auch im Handel auf. Sie sind eigentlich gut haltbar und wenig empfindlich. Allerdings werden sie für die meisten Heimaquarien einfach zu groß. So ein Fisch hat einen recht starken schwimm und somit Raumbedarf. Zudem kommt mit der Größe des Tieres auch die Unart, an Invertebraten zu gehen, bzw. auch kleinere Fische nicht zu verachten.
Synonyme:
Lutianus ehrenbergi (Peters, 1869)
Lutianus ehrenbergii (Peters, 1869)
Lutjanus ehrenbergi (Peters, 1869)
Lutjanus ehrevbergi (Peters, 1869)
Lutjanus oligolepis Bleeker, 1873
Mesoprion ehrenbergii Peters, 1869
					Erwachsene Tiere von Lutjanus ehrenbergii bewohnen sehr flache Küstengebiete, oft in großen Schwärmen in der Nähe von Süßwasserabflüssen. Jungtiere sind oft zwischen Gezeiten, über Sand-, Schlick- oder Korallenschuttböden, gelegentlich in von Mangroven gesäumten Flüssen und Flussmündungen zu finden. Sie können ins Süßwasser gelangen, um sich von kleinen Fischen und Wirbellosen zu ernähren.
Lutjanus ehrenbergii ist eine kleine Art, die häufig in der Subsistenzfischerei genutzt und auch auf Märkten zu finden ist. Sie werden hauptsächlich mit Handleinen, Fallen und Kiemennetzen gefangen und meist frisch vermarktet.
Schnapper tauchen hin und wieder auch im Handel auf. Sie sind eigentlich gut haltbar und wenig empfindlich. Allerdings werden sie für die meisten Heimaquarien einfach zu groß. So ein Fisch hat einen recht starken schwimm und somit Raumbedarf. Zudem kommt mit der Größe des Tieres auch die Unart, an Invertebraten zu gehen, bzw. auch kleinere Fische nicht zu verachten.
Synonyme:
Lutianus ehrenbergi (Peters, 1869)
Lutianus ehrenbergii (Peters, 1869)
Lutjanus ehrenbergi (Peters, 1869)
Lutjanus ehrevbergi (Peters, 1869)
Lutjanus oligolepis Bleeker, 1873
Mesoprion ehrenbergii Peters, 1869






 
					 François Libert, Frankreich
						 	François Libert, Frankreich
							 
									 
									 
									 
									 
									 
									 
									 
									 
									 
									 
									 
									 
									 
									 
									 
									 
									 
									 
									 
									 
									 
									 
									 
									 
									 
									 
									 
									 
									 
									 
									 
									 
									 
									 
									 
									 
									 
									 
									 
									 
									 
									 
									 
									 
									 
									 
									 
									 
									 
									 
									 
									 
									 
									 
									 
									 
									 
						








